Active
Fully Entitled Multifamily/BTR Site
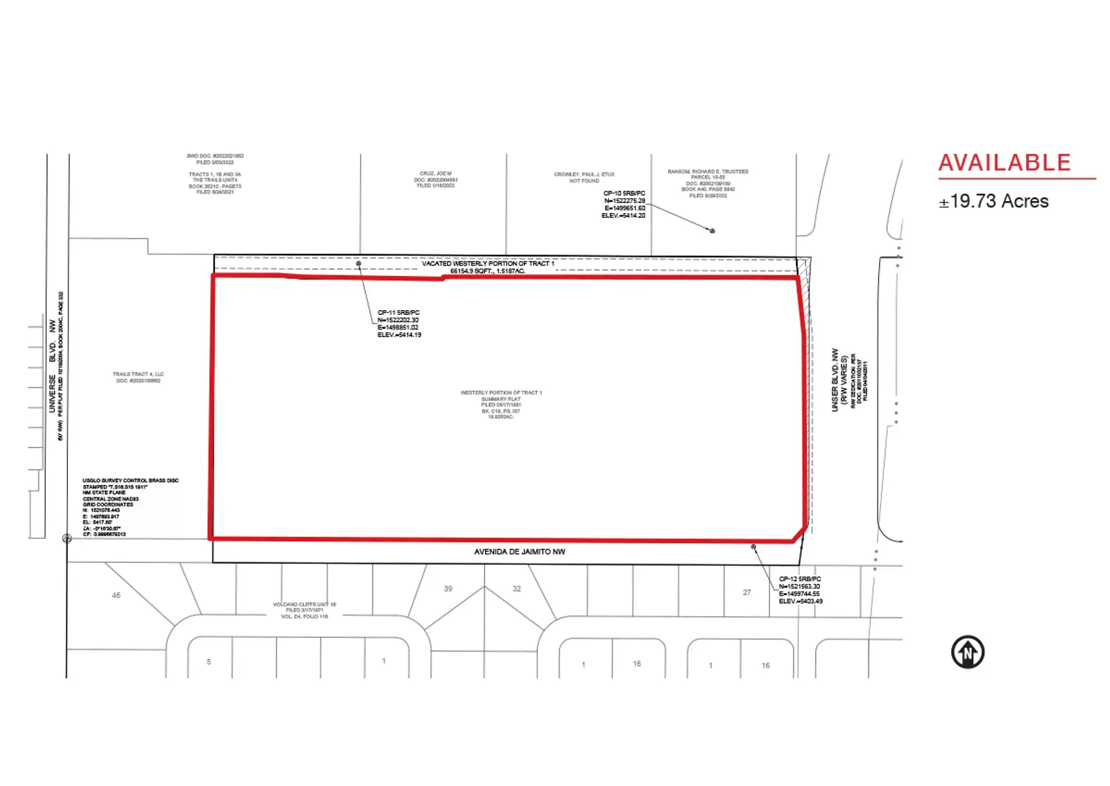
Unser Blvd NW & Paseo Del Norte NW, Albuquerque, NM 87114
1 / 4

Overview
- Property has an approved site plan for 216 Build to Rent Multifamily units
- Water and Sewer Service Agreement is in place
- Offsite requirements are identified
- Soils and Rock depth testing is completed
- Access approval is confirmed
- $5.95/SF
- Permissive Uses: Assisted Living and Nursing Care, Day Care Facility, Charter Schools, Church, Fitness Facility, Bank, Medical or Dental, Research and Testing Facility
For Sale
Land
Multifamily
- Sale Price
- $5,111,070
- Price Per Acre
- $259.2K/ac
- Acres
- 19.72 ac
- Zoning
- MX-T
- Zoning Description
- Mixed Use Moderate Intensity
- Submarket
- West Mesa
- Total Units
- 216
- County
- Bernalillo
- Created
- 06/20/2025
- Updated
- 11/21/2025
- Listing ID
- 90188d4a
- Parcel APN
- 101006410022530110
Contact Brokers
Property Area Insights
presented by Placer.ai


